Your Comprehensive Bonsai Pest Identification Guide

Keeping your bonsai tree healthy requires vigilance, especially when it comes to unwelcome guests. This comprehensive bonsai pest identification guide will equip you with the knowledge to spot common pests early, understand their impact, and implement effective solutions. Early detection is crucial for the vitality and longevity of your miniature trees.

A bonsai pest identification guide is a critical resource for any bonsai enthusiast, detailing how to recognize common pests like aphids, spider mites, and mealybugs through their physical appearance and the distinct damage they cause. It provides vital information for quick action, ensuring the long-term health of your prized miniature trees.

Healthy bonsai tree foliage

Common Bonsai Pests: How to Spot Them

Understanding what to look for is the first step in protecting your bonsai. Different pests leave unique signs of their presence. Regular inspection, often with a magnifying glass, is your best defense. Let’s explore the most common culprits that can threaten your beloved miniature trees. Identifying these pests early can save your bonsai from irreversible damage.

Bonsai branch with aphids

Aphids

Aphids are tiny, pear-shaped insects often found in clusters on new growth and the undersides of leaves. They can be green, black, red, or brown, depending on the species. These pests suck the sap from your tree, leading to distorted leaves, stunted growth, and sticky honeydew secretions. Honeydew can then lead to sooty mold, which further hinders photosynthesis. Inspect tender new shoots carefully for these common garden pests.

Spider Mites

These microscopic pests are difficult to see with the naked eye. Look for fine webbing on leaves and branches, especially in dry conditions. Affected leaves may develop tiny yellow or white stipples and eventually turn bronzed or brown before dropping. A simple test is to tap a branch over white paper; if tiny specks move, you likely have mites. Spider mites thrive in warm, dry environments, so proper humidity can help deter them.

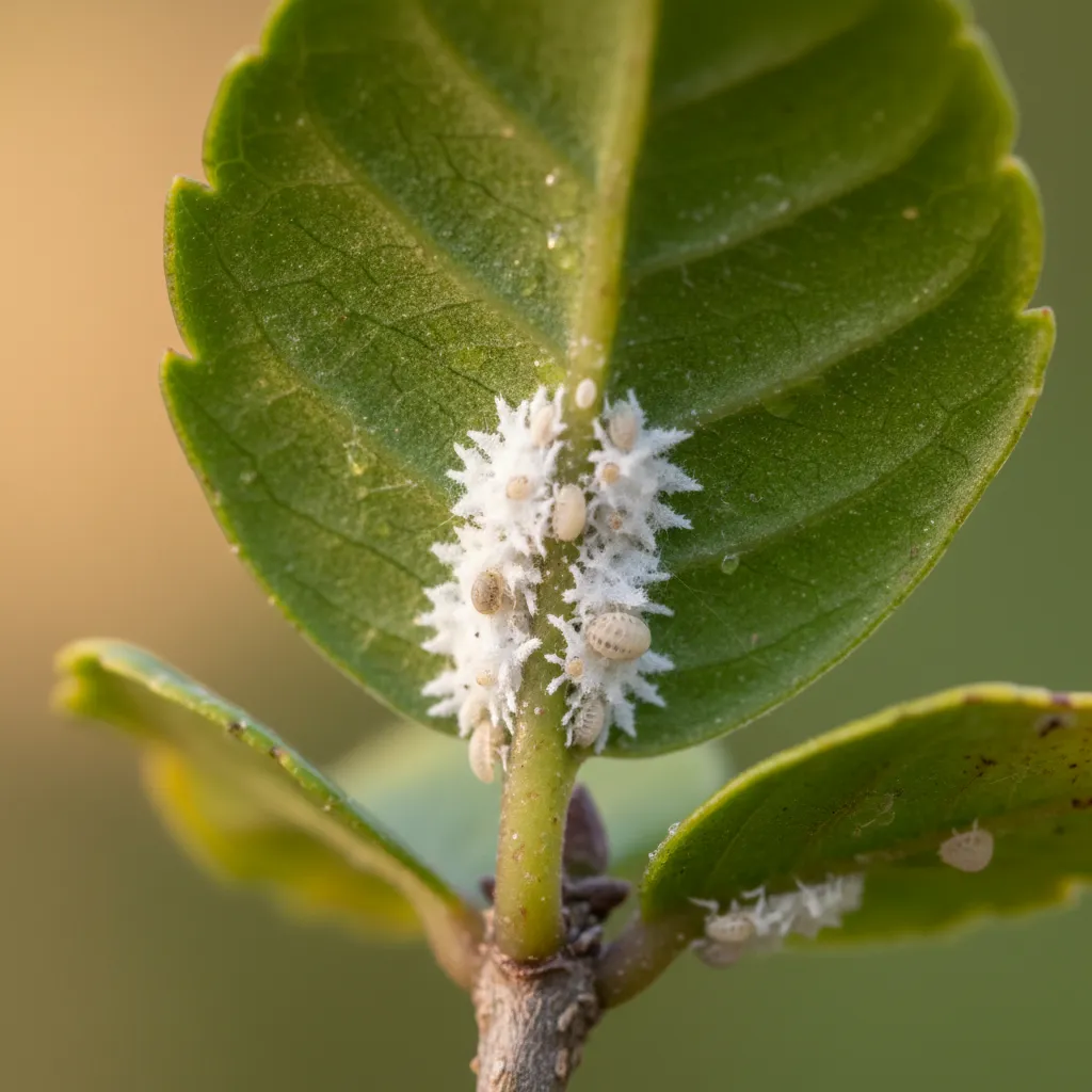
Bonsai leaf with mealybugs

Mealybugs

Mealybugs are soft-bodied, oval insects covered in a white, cottony wax. They often hide in leaf axils, crevices, and on the undersides of leaves, making them difficult to spot initially. Like aphids, they feed on sap and excrete honeydew, causing sooty mold to develop. Their distinctive cottony masses are a clear sign of infestation and should prompt immediate action.

Scale Insects

Scale insects appear as small, immobile bumps on stems and leaves. They can be hard or soft-bodied and are protected by a waxy coating, making them resistant to many treatments. They also feed on sap, weakening the tree and causing yellowing leaves and twig dieback. Scrape a suspect bump with your fingernail; if it comes off, it’s likely scale. These pests can severely deplete your bonsai’s energy.

Whiteflies

Whiteflies are tiny, white, moth-like insects that typically cluster on the undersides of leaves. When disturbed, they fly up in a cloud, making their presence obvious. They feed on plant sap, leading to yellowing and weakening of leaves, and also excrete honeydew. Their rapid lifecycle can make them challenging to control without consistent and thorough treatment.

Caterpillars and Borers

Larger pests like caterpillars can quickly defoliate a bonsai, munching through leaves with alarming speed. Borers, on the other hand, tunnel into the wood of the trunk and branches, causing significant structural damage that often goes unnoticed until it’s too late. Look for chewed leaves, frass (insect droppings), or small holes in the bark accompanied by sawdust-like material. These require immediate and aggressive attention to save your tree.

Organic Pest Control Methods for Bonsai

For many bonsai enthusiasts, organic methods are the preferred first line of defense. They are generally safer for your tree, yourself, and the environment. These methods leverage natural processes to manage pests effectively without introducing harsh chemicals, promoting a healthier ecosystem for your bonsai.

Bonsai organic pest spray

Manual Removal and Water Spray

For small infestations, physically removing pests is very effective. You can pick off larger insects or use a strong stream of water from a hose to dislodge aphids, spider mites, and whiteflies. Ensure you spray the undersides of leaves where pests often hide. Repeat this daily until the pests are gone. This method is surprisingly effective, non-toxic, and prevents the spread of diseases.

Neem Oil and Insecticidal Soaps

Neem oil is a natural pesticide extracted from the neem tree. It disrupts the feeding and reproductive cycles of many common pests, acting as an anti-feedant and growth regulator. Insecticidal soaps work by suffocating soft-bodied insects upon contact. Both should be applied thoroughly to all parts of the tree, especially the undersides of leaves, ensuring complete coverage. Always follow product instructions carefully for dilution and application to avoid damaging your bonsai.

Ladybugs on bonsai leaves

Introducing Beneficial Insects

Nature provides its own pest control! Ladybugs, lacewings, and predatory mites are natural enemies of many bonsai pests, including aphids and spider mites. Releasing these beneficial insects can create a balanced ecosystem that keeps pest populations in check naturally. This is an advanced technique for long-term organic pest management and requires careful timing and conditions for success.

Maintaining Tree Health

A healthy, vigorous bonsai is inherently less susceptible to pest infestations. Ensure your tree receives proper watering, appropriate Bonsai Soil, Fertilization & Nutrition, adequate sunlight suited to its species, and diligent Spring Care for Bonsai SH. For year-round health, understanding specific seasonal needs, such as Jade Bonsai Winter Care, is crucial. For optimizing light conditions, especially indoors, consider insights from Bonsai Grow Lights: Choosing the Right Spectrum. For specific guidance on tropical varieties, consider Ficus Bonsai Care: Tropical Species Mastery. Stressed trees, weakened by improper care, are often the first to succumb to pests and diseases. Strong roots and robust foliage are key defenses against most common garden invaders. For foundational knowledge, explore Understanding Bonsai Soil Mixes.

Chemical Treatment Options and Safe Use

Sometimes, organic methods aren’t enough, especially with severe or persistent infestations. Chemical treatments can provide a quick and highly effective solution, but they must be used carefully and responsibly. This part of our bonsai pest identification guide outlines the available options and crucial safety measures to protect both your tree and yourself.

Applying chemical treatment to bonsai

Systemic Insecticides

Systemic insecticides are absorbed by the plant through its roots or foliage and move throughout its vascular tissues, making the entire plant toxic to feeding insects. They are particularly effective against sap-sucking pests like aphids, mealybugs, and scale, offering longer-lasting protection. These can be applied as a soil drench or sprayed directly onto the foliage. Be aware that these can also harm beneficial insects if not used judiciously and should be a last resort.

Contact Insecticides

Contact insecticides kill pests upon direct physical contact. They are useful for immediate knockdown of visible pests but offer no residual protection once dry. Thorough coverage of the entire plant, including the undersides of leaves, is essential for these to be effective. Care must be taken to avoid spraying beneficial insects, and always check the label to ensure the product is safe for your specific bonsai species.

Safety Precautions for Chemical Use

  • Read Labels Carefully: Always follow manufacturer instructions precisely for mixing, application rates, and critical safety warnings.
  • Wear Protective Gear: Use gloves, eye protection, and a mask or respirator to prevent personal exposure to chemicals.
  • Ventilation: Apply chemicals in a well-ventilated area, preferably outdoors, to minimize inhalation risks.
  • Timing: Apply during cooler parts of the day (early morning or late evening) to avoid leaf burn and maximize product effectiveness. Avoid windy conditions.
  • Storage: Store chemicals securely in their original containers, away from children, pets, and food items.
  • Disposal: Dispose of leftover chemicals and empty containers responsibly according to local environmental regulations. Never pour them down drains.

Preventing Future Infestations

Prevention is always better than cure. By adopting proactive strategies, you can significantly reduce the risk of future pest problems for your cherished bonsai collection. Staying ahead of pests is a key strategy for 2025 and beyond, ensuring your trees remain vigorous and beautiful.

Regular bonsai inspection

Regular Inspection Routine

Make a habit of inspecting your bonsai trees daily or at least weekly. Pay close attention to new growth, the undersides of leaves, and branch crevices where pests love to hide. Early detection means you can address issues before they become widespread and difficult to control. This routine is the backbone of any effective bonsai pest identification guide and successful bonsai care.

Proper Sanitation

Keep your bonsai cultivation area clean and tidy. Regularly remove fallen leaves, dead branches, and other organic debris that can harbor pests or their eggs. Clean tools regularly to prevent spreading pests and diseases between trees. A tidy and hygienic environment discourages many common garden invaders and promotes overall plant health. For comprehensive protection against various threats, understanding Disease Management for NZ Bonsai: Fungal, Bacterial & Viral Threats, including specific Bonsai Fungal Disease Solutions, is also vital.

Quarantine New Trees

Whenever you bring a new bonsai or any new plant into your collection, isolate it for several weeks in a separate area. This ‘quarantine period’ allows you ample time to observe the new tree for any hidden pests or diseases before they can potentially spread to your established collection. This simple, yet critical, step can save you a lot of trouble and heartache in the long run.

By following this detailed bonsai pest identification guide, you’re well on your way to maintaining a vibrant and healthy bonsai collection. Remember, consistency in care and observation is your best tool for keeping your miniature trees free from unwelcome guests. And when your trees are looking their best, you might even consider some Bonsai Photography Tips for Sharing Your Trees. For those interested in expanding their collection through propagation, exploring techniques like Air Layering for New Bonsai Trees can be beneficial. For further reading on general pest management strategies, consider external resources like Wikipedia’s Pest Management page.

Bonzai: Nurturing Your Miniature World.

Leave a Comment

Your email address will not be published. Required fields are marked *

Scroll to Top