Aphids on Bonsai Treatment: A Comprehensive Guide for 2025

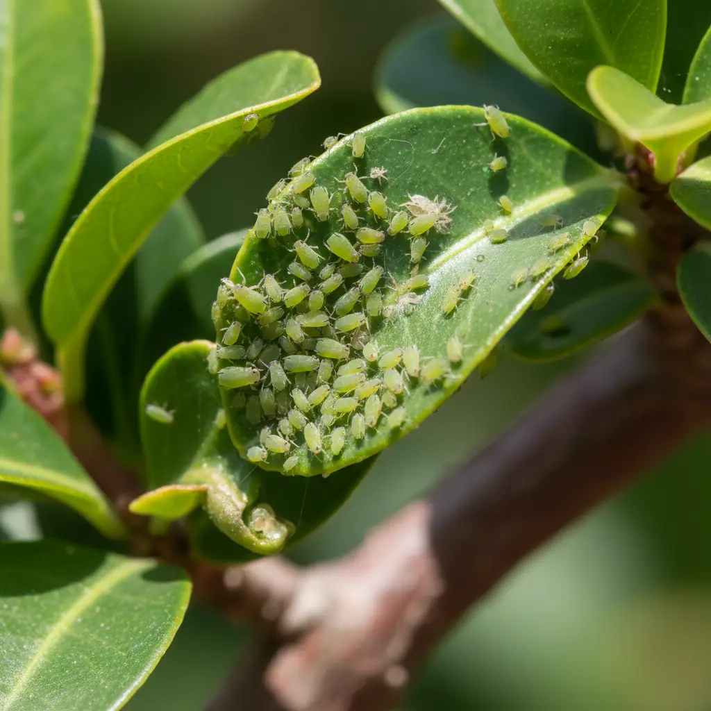
Aphids clustered on bonsai leaf

Dealing with aphids on your bonsai can be frustrating, but with the right approach, you can protect your miniature trees. Aphids are small, sap-sucking insects that feed on the vital fluids of plants, leading to weakened growth and potential plant death if left untreated. Understanding effective aphids on bonsai treatment is key to maintaining the health and beauty of your cherished specimens in 2025.

Identifying Aphids on Your Bonsai

Early detection is crucial for effective aphids on bonsai treatment. These tiny pests can multiply rapidly, quickly overwhelming your delicate tree. Knowing what to look for will help you act fast.

Visual Signs

Aphids are usually green, black, yellow, brown, or red, and typically measure less than 1/8 inch long. They often gather in clusters on new growth, young leaves, and flower buds. You might also notice a sticky residue called honeydew, which is a byproduct of their feeding. This honeydew can lead to the growth of sooty mold, a black fungus that covers leaves and inhibits photosynthesis.

Honeydew and sooty mold on bonsai leaf

Common Locations

Always check the undersides of leaves, especially on new shoots and tender parts of your bonsai. Aphids prefer these areas because the plant tissue is softer and easier to pierce. Inspect crevices and the crotches where branches meet the trunk.

Understanding the Damage

Beyond honeydew and sooty mold, aphids cause direct damage. Their feeding results in stunted growth, distorted or curled leaves, and yellowing foliage. Severe infestations can significantly weaken your bonsai, making it more susceptible to other diseases, such as those covered in our guide on Disease Management for NZ Bonsai: Fungal, Bacterial & Viral Threats, and environmental stress.

Immediate Steps After Aphid Detection

Once you confirm an aphid infestation, quick action is essential to prevent further spread and damage. These initial steps are vital for successful aphids on bonsai treatment.

Isolation

Immediately move the affected bonsai away from other plants. This helps prevent the aphids from spreading to your entire collection. Aphids can move surprisingly fast, or be carried by wind, so isolation is a critical first defense.

Gentle Removal

For minor infestations, you can often dislodge aphids manually. Use a soft brush, a cotton swab dipped in rubbing alcohol, or a strong stream of water from a garden hose (be careful not to damage the delicate branches or soil). Repeat this process daily until no aphids are visible.

Spraying bonsai with water

Effective Aphids on Bonsai Treatment Methods

Once you’ve taken immediate steps, it’s time to implement a specific aphids on bonsai treatment plan. Choose the method that best suits your comfort level and the severity of the infestation. Always read product labels carefully.

  1. Step 1: Water Spray Method
  2. A simple yet effective first line of defense. Use a strong stream of water to blast aphids off your bonsai. Ensure you spray the undersides of leaves. Repeat every few days until the aphids are gone. This method is chemical-free and safe for the environment.

  3. Step 2: Insecticidal Soap Application
  4. Insecticidal soaps are an excellent organic option. They work by smothering soft-bodied insects like aphids. Mix according to product instructions (usually 1-2 tablespoons per gallon of water) and spray thoroughly, covering all affected areas. Apply in the morning or evening to avoid scorching leaves in direct sunlight. Reapply every 5-7 days for several weeks.

  5. Step 3: Neem Oil Solution
  6. Neem oil is a natural pesticide derived from the neem tree. It disrupts aphid feeding and reproduction cycles. Mix pure, cold-pressed neem oil with water and a tiny bit of mild soap as an emulsifier. Spray all over the bonsai, including the soil surface. This is a very effective aphids on bonsai treatment, especially for ongoing issues. Apply weekly for prevention or every 3-5 days for active infestations.

    Neem oil and insecticidal soap for bonsai

  7. Step 4: Introducing Natural Predators
  8. For outdoor bonsai or greenhouse environments, releasing beneficial insects like ladybugs (lady beetles) or lacewings can be an effective biological control. These predators voraciously consume aphids. You can often purchase them online or from garden centers. For more information on beneficial insects, visit Wikipedia.

  9. Step 5: Horticultural Oil
  10. Horticultural oils, like dormant oil or summer oil, can suffocate aphids. These are typically applied during the dormant season but can be used in diluted forms during the growing season. Always ensure your specific bonsai species can tolerate oil sprays, as some are sensitive. Follow dilution instructions meticulously to avoid phytotoxicity.

Preventing Future Aphid Infestations

Prevention is always better than cure. By adopting good horticultural practices, you can significantly reduce the risk of future aphid problems and minimize the need for aphids on bonsai treatment.

Regular Inspection

Make a habit of inspecting your bonsai regularly, at least once a week. Pay close attention to new growth and the undersides of leaves. Early detection of any pest will make eradication much easier. For a broader overview of common threats, consult our Bonsai Pest Identification Guide.

Proper Plant Care

A healthy bonsai is a resilient bonsai. Ensure your tree receives adequate sunlight, proper watering, and appropriate nutrients. Over-fertilization, especially with nitrogen, can lead to tender new growth that aphids find particularly attractive. For in-depth information on soil health and feeding, see our guide on Bonsai Soil, Fertilization & Nutrition, and even specific details like Pohutukawa Bonsai Soil Mix. Maintain good air circulation around your bonsai and consider seasonal pruning to remove dense foliage where pests can hide.

Bonsai watering technique

Companion Planting

For outdoor bonsai arrangements, consider planting companion plants that deter aphids, such as garlic, chives, or marigolds, nearby. These plants can act as natural deterrents, keeping your bonsai safer.

Choosing the Right Treatment for Your Bonsai

Selecting the best aphids on bonsai treatment depends on several factors. Consider the severity of the infestation, the specific species of your bonsai, and your personal preference for organic versus synthetic solutions.

  • Severity: Minor infestations might only need a water spray, while severe cases may require a combination of insecticidal soap and neem oil, or even horticultural oil.
  • Bonsai Species: Some bonsai, like certain junipers or pines, can be more sensitive to oil-based sprays. Always test a small area first.
  • Environmental Impact: Organic solutions like neem oil and insecticidal soap are generally safer for pets and beneficial insects, making them ideal for gardeners preferring eco-friendly pest control.

Long-Term Bonsai Health and Pest Management

Effective pest management is an ongoing process for bonsai enthusiasts. Integrate these strategies into your routine to ensure your bonsai remains vigorous and free from pests like aphids. Consider also enriching your journey by Starting Your Own Local Bonsai Study Group to share knowledge and support. Regular maintenance, including proper watering, fertilization, occasional repotting, and applying Bonsai Wiring Techniques: Step-by-Step Guide, strengthens your tree’s natural defenses. By creating an optimal environment, you reduce plant stress, making your bonsai less appealing to pests. To learn more about species-specific care, like our Ficus Bonsai Care Guide, Maple Bonsai Care Tips, or essential Spring Care for Bonsai SH, stay vigilant in 2025, and your bonsai will continue to thrive and impress.

Keep your bonsai healthy and beautiful by implementing these proven aphids on bonsai treatment strategies!

References & Sources

Leave a Comment

Your email address will not be published. Required fields are marked *

Scroll to Top