Bonsai Branch Dieback Causes: Understanding & Preventing Loss

Dealing with branch dieback in your bonsai can be disheartening, but understanding its roots is the first step toward recovery. Bonsai branch dieback occurs when a portion of the branch, or even an entire branch, progressively dries out and dies. This condition often signals an underlying issue with the tree’s health or environment, requiring prompt attention to prevent further damage to your cherished living art.
Identifying the specific Bonsai Branch Dieback Causes is crucial for effective treatment. Our experts have compiled comprehensive insights into why your bonsai might be suffering from this common problem and how you can restore it to vibrant health in 2025. For those new to the art, Choosing Your First Bonsai Tree wisely can prevent many future challenges.
Table of Contents
What is Bonsai Branch Dieback?
Bonsai branch dieback is a condition where branches on your bonsai tree begin to dry out, turn brittle, and eventually die. This process often starts at the tips and progresses inwards towards the trunk. It can affect a single branch, multiple branches, or even lead to the decline of the entire tree if not addressed promptly.
Recognizing the early signs, such as wilting leaves, discoloration, or branches losing their suppleness, is vital. Dieback is rarely a standalone problem; it’s usually a symptom indicating underlying stress or damage to the tree’s vascular system, preventing water and nutrients from reaching affected areas.
Common Environmental Bonsai Branch Dieback Causes
Many external environmental factors can contribute significantly to the phenomenon of Bonsai Branch Dieback Causes. Understanding these influences is key to providing optimal care for your miniature trees.

Improper Watering (Over/Under)
One of the most frequent culprits for branch dieback is inconsistent or incorrect watering. Overwatering can lead to root rot, suffocating the roots and preventing them from absorbing water and nutrients, which then causes branches to die. Conversely, underwatering deprives the tree of essential moisture, leading to dehydration and eventual branch death.
The delicate balance of moisture in the bonsai soil is paramount. Always check the soil moisture before watering and adjust your schedule based on the tree’s species, pot size, and environmental conditions.
Insufficient Light Exposure
Bonsai trees require adequate light for photosynthesis and overall health. If a bonsai doesn’t receive enough light, especially indoor varieties, its energy production dwindles. This weakness can manifest as branch dieback, particularly on lower or interior branches that receive even less light.
Ensure your bonsai is placed in a location that provides the appropriate amount of light for its species. For detailed information on specific needs, including a Bonsai Species Comparison for Different Climates, consult specialized guides. Rotating the tree periodically can help all parts receive sufficient exposure.
Temperature Extremes and Humidity
Protect your bonsai from harsh temperature fluctuations, a critical element of Summer Bonsai Care: Heat & Humidity Management. Consider using humidity trays or regular misting to maintain appropriate moisture levels around the foliage, especially for tropical species. For specific advice on managing Tropical Bonsai Trees: Care in Colder Climates, consult specialized guides to ensure their survival and health.
Poor Air Circulation
Good air circulation is essential for preventing fungal diseases and promoting healthy growth. Stagnant air around a bonsai, often found in overcrowded indoor settings, can create a humid microclimate that encourages the growth of harmful pathogens, contributing to branch dieback.
Ensure your bonsai has sufficient space around it, and consider opening windows or using a small fan on a low setting for indoor trees to improve air movement.
Biological and Pathological Causes of Dieback
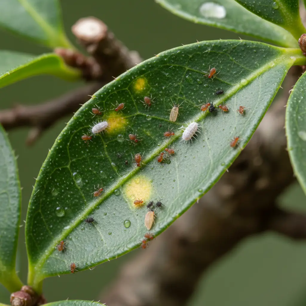
Beyond environmental factors, biological threats such as pests and diseases are significant Bonsai Branch Dieback Causes. These issues often require targeted interventions.

Pests and Insect Infestations
Various pests, including spider mites, aphids, scale insects, and mealybugs, can wreak havoc on a bonsai. These tiny invaders feed on the tree’s sap, weakening it and disrupting nutrient flow. Severe infestations can lead to wilting leaves, yellowing, and ultimately, the death of branches.
Regular inspection of your bonsai, especially the undersides of leaves and branch crotches, is crucial for early detection. Treat infestations promptly with appropriate organic pesticides or horticultural oils.
Fungal and Bacterial Diseases
Fungal infections, such as root rot (often a result of overwatering), can destroy a bonsai’s root system, preventing water uptake and causing branches to die back. Canker diseases or blight can also directly attack branches, leading to lesions and subsequent dieback.
Good hygiene, proper watering practices, and adequate air circulation are your best defenses against these diseases. If detected, prune away affected areas with sterilized tools and consider fungicidal treatments if necessary. For a more comprehensive guide on managing various ailments, refer to Identifying & Treating Common Bonsai Diseases.
Nutrient Deficiencies or Excesses
A balanced nutrient supply is vital for a bonsai’s health. Both a lack of essential nutrients (like nitrogen, phosphorus, potassium, or micronutrients) and an excess of certain fertilizers can cause stress, impair growth, and lead to branch dieback. For example, too much nitrogen can promote weak, leggy growth prone to disease.
For comprehensive guidance on these critical aspects, explore our dedicated resource on Bonsai Soil, Fertilization & Nutrition. Use a balanced bonsai fertilizer according to package instructions, adjusting for the growing season and tree species. Repotting with fresh soil every few years replenishes essential nutrients and improves soil structure.
Horticultural and Mechanical Factors
The way we cultivate and interact with our bonsai can also inadvertently create Bonsai Branch Dieback Causes. These factors are often within our direct control.

Improper Pruning Techniques
Incorrect pruning can severely damage a bonsai. Removing too much foliage at once, making unclean cuts, or pruning at the wrong time of year can stress the tree, hinder its ability to recover, and result in branches dying back. Aggressive pruning can deplete the tree’s energy reserves.
Always use sharp, sterilized tools and understand the specific pruning requirements for your bonsai species. Prune judiciously, spreading major work over time to minimize stress.
Wiring Damage and Constriction
Wiring is a fundamental technique for shaping bonsai, but if left on too long or applied too tightly, the wire can cut into the bark. This constriction chokes the branch, disrupting the flow of sap and nutrients, leading to permanent damage and eventual dieback in the affected area.
Regularly check wired branches for signs of embedding. Remove or re-wire branches before the wire causes significant damage. The wire should support, not constrict, growth.
Repotting Shock and Root Damage
Repotting is a necessary part of bonsai care, but it can be a traumatic experience for the tree. Excessive root pruning, damage to the delicate feeder roots during the process, or an inappropriate soil mix can induce ‘repotting shock’. This stress can severely impact the tree’s ability to take up water and nutrients, resulting in branch dieback.
Repot only when necessary, using proper techniques and a well-draining bonsai soil mix. Provide gentle care and protection from harsh elements immediately after repotting to aid recovery.
Old Age and Natural Senescence
While bonsai are known for their longevity, like all living organisms, they experience aging. Older branches, particularly those at the interior or lower parts of the tree, may naturally die back as the tree redirects resources to newer, more vigorous growth. This is a natural part of the tree’s life cycle.
While you cannot stop aging, consistent optimal care can prolong the tree’s vitality and minimize premature dieback. Understanding the natural senescence helps differentiate it from preventable causes.
How to Diagnose and Address Bonsai Branch Dieback
Successfully tackling branch dieback requires a systematic approach. Follow these steps to diagnose and treat the specific Bonsai Branch Dieback Causes affecting your tree:

- Observe Carefully and Systematically: Start by thoroughly examining the entire tree. Note which branches are affected, the pattern of dieback (tips inwards, entire branch), and any other symptoms like discolored leaves, unusual growths, or visible pests. Document your findings to track changes.
- Check Watering and Soil Conditions: Gently feel the soil to assess its moisture level. Is it waterlogged or bone dry? Examine the soil surface for mold or algae. If you suspect root rot, carefully lift the tree from its pot to inspect the roots; healthy roots are firm and light-colored, while rotting roots are dark and mushy.
- Inspect for Pests and Diseases: Use a magnifying glass to check leaves (especially undersides), branches, and the trunk for tiny insects, webbing, or lesions. Look for signs of fungal spots, powdery mildew, or unusual swellings that might indicate disease.
- Evaluate Light and Environment: Consider the bonsai’s placement. Is it receiving appropriate light for its species? Are there drafts, sudden temperature changes, or consistently low humidity? Adjust its location or provide environmental aids like humidity trays as needed.
- Review Pruning and Wiring History: Reflect on recent horticultural activities. Was there any heavy pruning? Were wires left on too long? Look for wire marks or improperly healed pruning cuts that could impede sap flow.
- Consider Repotting or Fertilization: If the tree hasn’t been repotted in several years, or if you’ve been inconsistent with fertilization, these could be contributing factors. Test your soil’s pH if possible, and ensure a balanced feeding schedule.
Once you’ve identified the likely cause, implement the appropriate corrective action. For example, adjust watering, treat pests, prune diseased parts, or provide more light. Consistency is key for recovery.
Preventing Future Bonsai Branch Dieback
Proactive care is the best defense against branch dieback. By implementing consistent and thoughtful routines, you can significantly reduce the risk of your bonsai experiencing this issue.
Consistent Care Routines
Establish a regular watering schedule tailored to your bonsai’s needs, always checking soil moisture first. Provide consistent and adequate light, proper humidity, and protection from environmental extremes. A stable environment minimizes stress and promotes robust growth. For detailed seasonal guidance, including Spring Care for Bonsai SH, always consult species-specific instructions.
Proactive Pest and Disease Management
Regularly inspect your bonsai for early signs of pests or diseases. A quick weekly check can catch issues before they become severe. Maintain good air circulation and sanitation practices to deter fungal growth. Consider preventive treatments if your tree is prone to specific issues, especially during vulnerable seasons.
Regular Monitoring
Beyond routine checks, spend time simply observing your bonsai. Notice any subtle changes in leaf color, new growth patterns, or slight wilting. Early detection of problems allows for quicker intervention and higher chances of successful recovery. Remember, a healthy bonsai is a happy bonsai, contributing to a vibrant NZ Bonsai Scene with Companion Plants & Display Elements. For community support and learning, exploring Finding Bonsai Mentors & Clubs in NZ: Connect with Your Community can be invaluable, enriching a scene that is already bolstered by the History of Bonsai in NZ: From Early Imports to Native Excellence.
For more detailed information on general bonsai care, consult reputable sources like Wikipedia’s Bonsai article.